Enhancing Emergency Management with WeatherOptics and JX Connect

In the ever-evolving landscape of emergency management, staying ahead of the curve requires robust data integration and real-time information sharing. The WebEOC platform, a flagship solution in emergency operations, has continuously adapted to meet these demands. With the integration of WeatherOptics through JX Connect, WebEOC takes a significant leap in enhancing its capabilities, offering emergency […]
5 Best Practices and Recommendations for Preparing for an Active Shooter

In 2020, the United States saw a 47 percent increase in mass shootings with a record-breaking 611 critical events and 513 deaths. These figures—both tragic and alarming—represent a growing trend in violence and a call for organizations and educational institutions to heighten protection and response strategies. The lamentable truth today is that violence threatens every […]
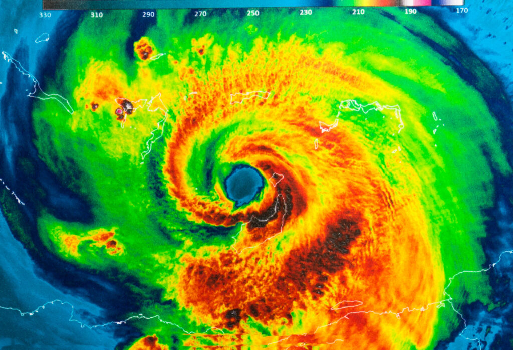
Time to tighten up response plans as hurricane season ramps up

In spring 2020, weather forecasters reported that conditions in the tropical Atlantic could contribute to an above-average probability for major hurricanes making landfall along the continental U.S. coastline and in the Caribbean. June and July have already marked the busiest start of a hurricane season ever recorded. Forecasters are currently watching Hurricane Isaias, which on […]
Homeland Security department announces preparedness grant allocations

While local, state, and federal emergency response and public health agencies continue to do battle against the COVID-19 pandemic, recent federal funding will help agencies and organizations better prepare for the threat of future crises and disasters. Recently, the federal government allocated billions of dollars in grant funding to go to emergency preparedness for a […]
Social media best practices for emergency management during COVID-19

Is social media the best way to communicate with the public during COVID-19 pandemic? During the COVID-19 pandemic, we have learned how important good communication is to an effective response. There are more ways than ever to communicate in these days of social media, video conferencing technology, etc., but unfortunately that means there are more […]
Checklist: Top 10 Tips to Improve Emergency Communications

The COVID-19 pandemic continues to pose a threat to public health and significantly impact everyday life, activities, business, and events. Communication and collaboration are vital to achieve optimal preparedness and effective response in the event of any critical incident, allowing organizations to work together more effectively during disease outbreaks like the coronavirus, as well as […]
For the Duration – 5 Tips for Better Productivity and Working Effectively through the COVID-19 Pandemic

During World War II, there was a phrase frequently used to denote what was at the time an indeterminate period of time and commonly meant in effect, until the end of the war. That phrase was, “for the duration” – since no one could really say how soon it would end or how long it […]
GIS is the foundation to true Situational Awareness

Today is GIS Day, an international celebration recognizing how the real-world applications of GIS technology are making a difference in our society.
Juvare Exchange Unites Critical Incident Stakeholders

Just three days before observing the July 4th Independence Day holiday, Juvare celebrated another pivotal and revolutionary event, particularly in regard to critical incident management.
Situational Awareness is the Key to Critical Incident Readiness

The right Critical Incident Management platform offers the tools to help your organization respond effectively Disasters, emergencies, and critical incidents often happen without a moment’s notice. In these situations, lives hang in the balance. Quick, decisive action is necessary to ensure safety, to mitigate damage, and to recover. The best decisions are made, especially in […]